El aumento de la diversidad llena de temor a los blancos

En los últimos años, la creciente popularidad de las políticas contra la inmigración, que van desde el apoyo público para construir un muro entre los Estados Unidos y México hasta el resultado del voto Brexit en el Reino Unido, se ha atribuido en gran parte a que los blancos nacidos en el país se sienten […]
El Titanic surcará de nuevo el atlántico norte

Una réplica del Titanic se embarcará en un viaje inaugural durante el 2022 y finalmente, seguir la ruta original de su predecesor de Southampton a Nueva York, según la compañía detrás del proyecto «Titanic II», Clive Palmer, un hombre de negocios australiano y presidente de Blue Star Line, anunció la reactivación del proyecto en septiembre luego […]
No hay espacio para más populistas en este planeta

Hay alguna razón para esta sombría ironía, porque la tierra ya no puede soportar a más gobiernos y líderes populistas y es que a menos que todas las encuestas estén totalmente equivocadas, Brasil probablemente elegirá a un defensor de la tortura racista, sexista y homófobo en dos días, el ex capitán del ejército Jair Bolsonaro […]
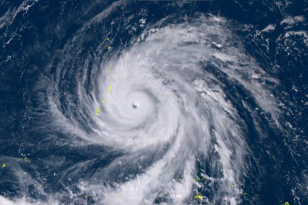
El super tifón Yutu sacude con furia el Pacífico

El Súper Tifón Yutu cruzó la comunidad del norte en las Islas Marianas muy temprano este jueves, moviéndose hacia las aguas abiertas del océano Pacífico occidental después de convertirse en el tifón más fuerte registrado hasta ahora sobre las islas de Saipán y Tinián y podría eventualmente amenazar a Filipinas, Taiwán o el sur de […]
Un iceberg muy peculiar en la Antártica

NASA ha compartido una imagen de un extraño rectángulo de hielo que apareció flotando en la costa este de la península Antártica, cerca de la plataforma de hielo Larsen C, la impresionante imagen es de un iceberg rectangular casi perfecto, el bloque de hielo monolítico, flotando justo al lado de la plataforma de hielo Larsen […]
Alcances de los ODS, objetivos por el apoyo y contra la violencia (y IX)

Las amenazas terroristas, los homicidios extrajudiciales, la persecución social, política y religiosa, la violencia intencional o contra los niños, la trata de personas y la intimidación sexual, son temas importantes que debe ser abordados para crear sociedades pacíficas e inclusivas, según se lee en el texto principal de los Objetivos para el Desarrollo Sostenible, ODS, estas […]
Alcances de los ODS, objetivos por el ambiente y los ecosistemas (VIII)

Es ya bien sabido que el cambio climático generado por el calentamiento global, afecta a todos los países en todos los continentes, produciendo un impacto negativo en su economía, la vida de las personas, animales y en la tierra misma, estos son los objetivos primordiales de los ODS, ya en un futuro cercano, se prevé […]
La influencia de la influenza y la pandemia global

La imagen que tenemos de la pandemia de influenza de 1918 o gripe española que está conmemorando sus primeros 100 años, es mucho más detallada hoy que hace 20 años, pero está lejos de ser completa, el patólogo Jeffery Taubenberger, del instituto nacional de alergias y enfermedades infecciosas de EE.UU., el mismo que en 2005, […]
Alcances de los ODS, objetivos para el desarrollo industrial y del trabajo (VII)

Los daños o costos ambientales resultantes del crecimiento humano, ponen en peligro la futura productividad de las ciudades, la salud y calidad de vida de sus ciudadanos, las metrópolis se han vuelto las principales zonas rojas ambientales que requieren urgentemente de atención especial en las evaluaciones ambientales regionales y de proyecto y en la planificación […]
YouTube sufre un apagón mundial

YouTube, el segundo sitio web más visitado del mundo, había sufrido una interrupción en sus distintas plataformas el martes por la noche durante más de una hora, el sitio de transmisión de Google, escribió en Twitter para agradecer a los usuarios por «sus informes sobre problemas de acceso a YouTube, YouTube TV y YouTube Music», […]